/
$59,000
55days on marketSold$55,000 · February 28, 2026
$59,000
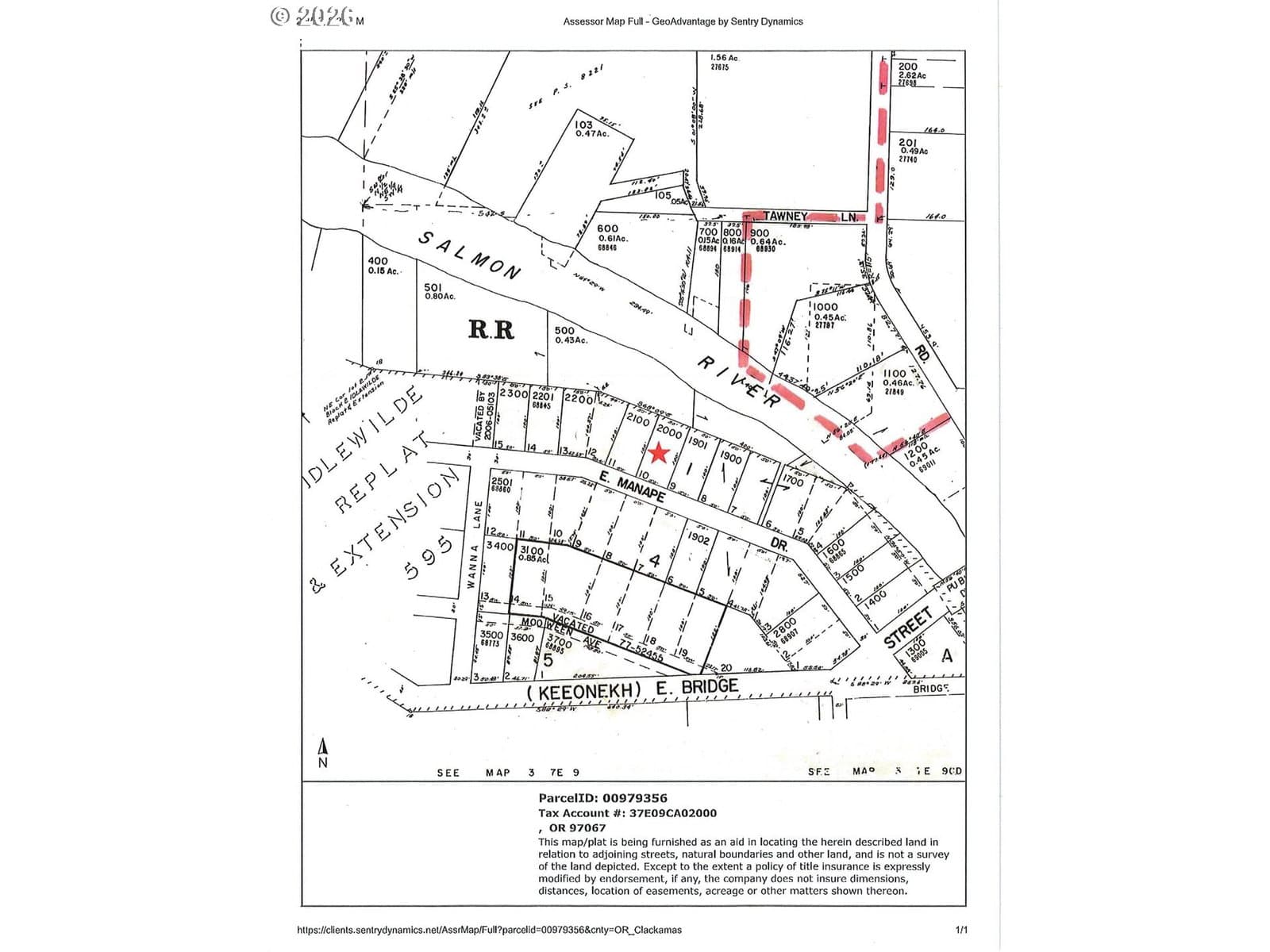
Escape to your own getaway of the Pacific Northwest! This 50 X 100 recreational parcel offers the perfect blend of outdoor adventure, scenery and convenience - ideal for camping/RV and basecamp for making lifelong memories. Nestled in a serene area on a well maintained road, located just 2 miles from local conveniences, restaurants, grocery store, gas station, recreation, golf, etc. 20 minutes to Government Camp and 25 minutes to Sandy. This thoughtfully landscaped recreational lot is ready for you to just pull up and enjoy! Level gravel parking area and open camping space, amazing 15 gallon per minute private well drilled 6/2024, fire pit, wood storage, solar lights, picnic table and relaxing sounds and views of the Salmon River and woods. Spend your days exploring trails, rivers and slopes around Mt. Hood, then return to your own peaceful retreat to unwind by the fire. Opportunities like this are rare, secure this beautiful property today!
Legal description
595 IDLEWILD LT 10 BLK 1
Walk Score® data provided by Walk Score