/
$199,000
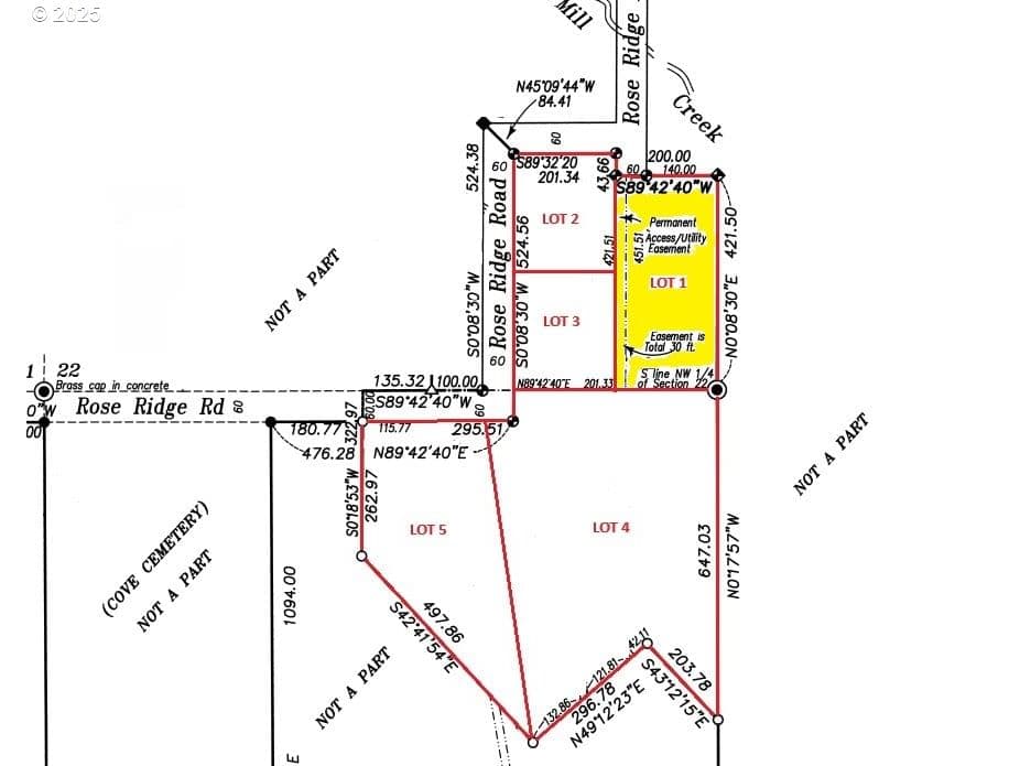
174days on marketNew revisions to the Rose Meadow subdivision have resulted in new, larger view lots now available in Cove. Lot 1 is approximately 1.93 acres with city water in the street. Amazing views of the mountains and forest. This beautiful home site is dividable. Offers will be subject to the revisions to the existing minor partition plat, and DEQ septic approval by the seller. The lot lines and acreage size are approximate.
Legal description
A portion of 03S4022-BC-00500.
$199,000
Walk Score® data provided by Walk Score