/
$124,500
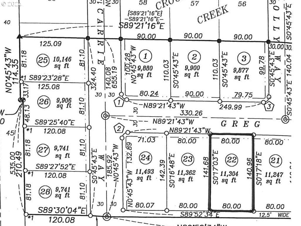
817days on marketFull Service Subdivision; Lot 80 x 141. City Water-sewer-storm water drains-water meter-underground natural gas-phone-cable sidewalks & mail boxes. CCR's R1 stick built homes only. Island City will charge $625 for water connection and $2,000 for sewer system connection. Owner is a licensed real estate broker. Close at EOT. Property Tax amounts have not yet been assessed.
Legal description
Lot 22 of CROOKED CREEK SUBDIVISION 5TH ADDITION to Island City, Union County Oregon
$124,500
Walk Score® data provided by Walk Score